| 联系方式 | 该项目来源于钢构宝APP,联系业主电话请下载钢构宝APP,或咨询钢构宝客服4001392998/四零零--一三九--二九九八 https://www.zwggb.com |
| 订单编号 | 1432610445898 |
| 更新时间 | 12小时前发布 |
| 订单类型 | 劳务分包 |
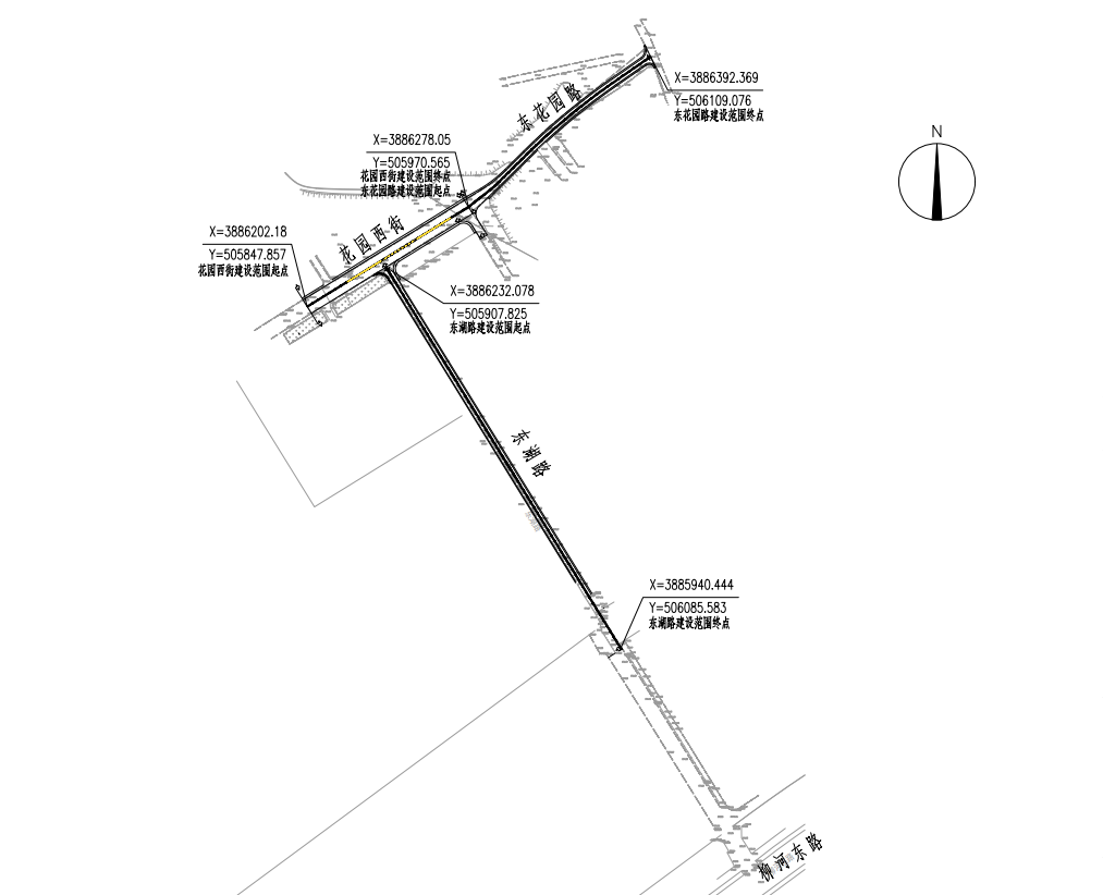
| 项目地址 | 山西运城市盐湖区东湖路 |
| 总面积 | 5230.00㎡ |
| 项目描述 | 山西运城经开区道路维修改造项目施工,施工内容为:拆除现状水泥路面2180平方米,新建水泥路面4946平方米,建筑散水面积284平方米,新建侧石697米等施工图纸及工程量清单范围内的全部内容。联系人:薛先生 |
| 询价区域 | 全国 |
| 项目图纸及资料 | |
| 项目图片 |
|




